Dike:
WHERE: Dasserat-01 Dike, Quebec
WHAT: 4 layers of material for the dyke are concepted by Civil 3D design, and programmed data into survey equipment to realise on the construction site.
(The project was realized with a cooperated company.)
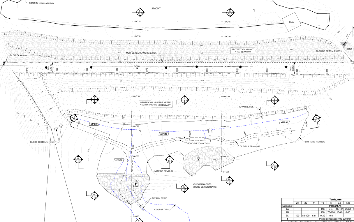
Dike:
WHERE: Dasserat-01 Dike, Quebec
WHAT: 4 layers of material for the dyke are concepted by Civil 3D design, and programmed data into survey equipment to realise on the construction site.
(The project was realized with a cooperated company.)